Страница 6 от 174
Re: Язовир Искър-най голямия язовир в България.
Публикувано на: Съб Мар 01, 2014 8:37 pm
от ivanst
topsoft написа:На Шипока на устието има ли раздвижване на хора и автомобили?
Информация от преди 5 дни - никакво кълване нямахме с колегата общо 4 дънни пръчки едните на жива рибка за стръв другите на пружина със захранка и торен и бял червей за стръв ... както и една плувка ... стояхме от 07:30 до към 11:30 и си тръгнахме.Но язовира се е дръпнал доста далеч от шипочкият залив.Близо 500м ... да се има предвид.
Re: Язовир Искър-най голямия язовир в България.
Публикувано на: Съб Мар 01, 2014 8:42 pm
от lusienn
Слагайте по някоя снимка в темата-Актуална.Стари имам много.Всеки го интересува-моментното ниво на язовира.Че пада-пада,и още ще пада.Сняг няма,зима няма-остава само валежи нови да дойдат.
Re: Язовир Искър-най голямия язовир в България.
Публикувано на: Съб Мар 01, 2014 8:49 pm
от topsoft
ivanst написа:Но язовира се е дръпнал доста далеч от шипочкият залив.Близо 500м ... да се има предвид.
Ясно, ма се в началото си има плитч, нема как....
Re: Язовир Искър-най голямия язовир в България.
Публикувано на: Съб Мар 01, 2014 10:06 pm
от ivanst
Ето малко снимки от последният излет миналата седмица :

това тук е на близо 500м от шипочкият залив.мястото където е стойката с въдиците преди беше залято с вода ... и виждате къде е брега в дясно.Посоката на шипочанският залив е зад въдиците.
А снимката по долу няколко километра в посока Ихтиман - скалите както се нарича мястото

Това е като инфо в снимков материал.
Re: Язовир Искър-най голямия язовир в България.
Публикувано на: Нед Мар 02, 2014 9:08 am
от bokser
Снимки от 26.02.2014 г. от Щъркела. Риби не съм ловил, минавах от там и щракнах 2-3 снимки.
Лятото покрай понтоните минавах с лодката (август) ...

Ако имах време, сигурно щях да си намеря едната котва, която се протри и остана на дъното...

Re: Язовир Искър-най голямия язовир в България.
Публикувано на: Нед Мар 02, 2014 10:07 pm
от ivanz666
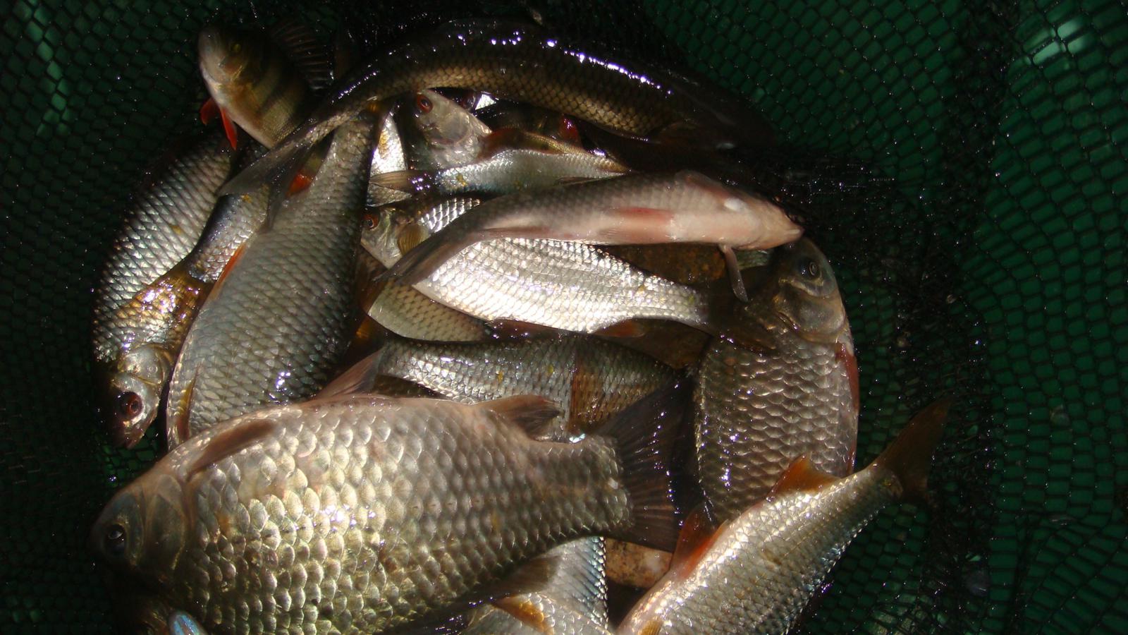
Малко инфо от Щъркела 02.03.2014 г.

- 003_1600x900.jpg (166.56 KiB) Преглеждано 2280 пъти
Вятър и лек дъж.

- 004_1600x900.jpg (229.6 KiB) Преглеждано 2280 пъти
резултата и после релиз на рибките.

- 042_1600x900.jpg (212.14 KiB) Преглеждано 2280 пъти
Re: Язовир Искър-най голямия язовир в България.
Публикувано на: Нед Мар 02, 2014 10:09 pm
от ivanz666
обратно във водата.

- 048_1600x900.jpg (191.96 KiB) Преглеждано 2279 пъти
Re: Язовир Искър-най голямия язовир в България.
Публикувано на: Нед Мар 02, 2014 11:17 pm
от lusienn
Явно си си тръгнал последен.Сутринта е било-много народ-така ми докладват всеки ден.Днес е бил деня на яката червеноперка,и хайверен вече костур.Благодарско за снимковия материял .
Re: Язовир Искър-най голямия язовир в България.
Публикувано на: Пон Мар 03, 2014 3:32 pm
от m@rto
ivanz666 написа:обратно във водата.
048_1600x900.jpg
Евала дано хванеш двоино другия излит

Re: Язовир Искър-най голямия язовир в България.
Публикувано на: Пон Мар 03, 2014 5:52 pm
от naskobo
На 3-ти март, разходка с въдица по язовира.
Римския днес.Риба не се забеляза.
Кърцата ги лови така
Самият римски мост все още не е щръкнал.
На Щърка има някакво подобие на риболов,
Re: Язовир Искър-най голямия язовир в България.
Публикувано на: Пон Мар 03, 2014 6:02 pm
от lusienn
Е Насе-понякога,има и такива моменти.Но темата,която Ти ми даде идея да пусна-бележи-забележително развитие,спрямо другите такива за водоемите

Re: Язовир Искър-най голямия язовир в България.
Публикувано на: Пон Мар 03, 2014 7:09 pm
от naskobo
lusienn написа:Е Насе-понякога,има и такива моменти.Но темата,която Ти ми даде идея да пусна-бележи-забележително развитие,спрямо другите такива за водоемите

Красива тема се очертава, Люси, и тепърва ще се развие. А що се отнася за днес, идеята ни с Кърцата беше по-скоро разходка- от 12 до 4 часа, да си видим местата. Полезно ще е ако някой ходи по Шипока да наштрака снимки от устието до оградата, докато нивото е ниско.
И тук както при "Струма" ще се сблъскаме с проблема как хем да сме си полезни, хем да да не изглупяваме и да хранем с инфо кибици и месари.
Re: Язовир Искър-най голямия язовир в България.
Публикувано на: Съб Мар 08, 2014 10:21 am
от niko8704
Няма ли най-накрая да тръгне тази платика?
Re: Язовир Искър-най голямия язовир в България.
Публикувано на: Съб Мар 08, 2014 12:42 pm
от Коце ©
niko8704 написа:Няма ли най-накрая да тръгне тази платика?
Тръгна! Ама никой не знае!
Re: Язовир Искър-най голямия язовир в България.
Публикувано на: Съб Мар 08, 2014 5:48 pm
от lusienn
Сега мисля че е още рано,за платиката.По принцип тая риба е стадна,ако и хванеш и знаеш пътеките е по лесно.Както спомена Наско-тръгва обикновенно напролет като тръгне мътна вода от втичалото.Веднага усеща и тръгва да търси храна.Държи коритото на Реката от Римския до устието,но понякога пипа едва едва-много мудно.От към шипока тръгва по късно,но За откриването през лятото там държи прилични количества,за цяла София-стига да си намериш свободно място и да я държиш със захранка пред теб.Виждал съм норма как се прави за 10-20 минути.Като се затопли водата търси хлад там и отива отсреща на около 5-6 метра дълбочина.Иначе най много я ловят на плувка на Римския мост-лятото,щото всеки ден се храни по много.Та Насе там където сте с Кърцата-е добре за Плувка.По надолу към устието я търсят на дъно и фидер.Но за жалост стана основен преобладаващ вид в язовира-изяжда хайвера на другата риба и в момента е Основен доминиращ вид-поне от 10 години е така.