Къде се намирам:
Риболов
Сладководен раздел
Излети
Моят риболовен излет
naRiba.com
Форум
Риболов
Сладководен раздел
Излети
Моят риболовен излет
Няколко поредни излета на Пънча с цел намиране на добре работеща захранка
- Garbolino
- разбира нещата

- Мнения: 817
- Регистриран на: Съб Ное 12, 2011 12:24 pm
- Местоположение: София
Re: Няколко поредни излета на Пънча с цел намиране на добре работеща захранка
Рекапитулацията от днес до обяд:
- 1 час на бъбрека - 0 кълванета, 0 риби
- 3 часа на стената - 1 кълване, 1 риба - костурче на вердевас
- 1 час на бъбрека - 0 кълванета, 0 риби
- 3 часа на стената - 1 кълване, 1 риба - костурче на вердевас
Re: Няколко поредни излета на Пънча с цел намиране на добре работеща захранка
Моята е същата на бъбрека. Пробвах вчера три дистанции 12-13 метра 4 м дълбочина , около 30 метра 8 метра дълбочина и около 50 метра 9-10 метра дълбочина. Никъде нямах кълване.
- Garbolino
- разбира нещата

- Мнения: 817
- Регистриран на: Съб Ное 12, 2011 12:24 pm
- Местоположение: София
Re: Няколко поредни излета на Пънча с цел намиране на добре работеща захранка
Изглежда, че това променливо време ще ни накара да почакаме поне още две седмици до следващото затопляне. Като гледам прогнозата за следващите 10 дни и как са се наредили минимални температури от =2 до -5, нещата не изглеждат оптимистично.glmv написа:Моята е същата...
- Garbolino
- разбира нещата

- Мнения: 817
- Регистриран на: Съб Ное 12, 2011 12:24 pm
- Местоположение: София
Re: Няколко поредни излета на Пънча с цел намиране на добре работеща захранка
Ако в идните дни и седмици случайно ви попадне оферта за точно този модел платформа Guru-Rive RSW на тънкана да знаете, че едни ентусиасти са отвлекли камион пътуващ с този нов модел от Франция за Англия и сега франсетата си търсят открадната стока из цяла Европа.
Повече за историята тук: https://www.facebook.com/12161605458128 ... 460212042/
- Garbolino
- разбира нещата

- Мнения: 817
- Регистриран на: Съб Ное 12, 2011 12:24 pm
- Местоположение: София
Re: Няколко поредни излета на Пънча с цел намиране на добре работеща захранка
Днес преди поредното застудяване си казах, че някак си е редно да използвам последния що годе топъл ден. Този път бях решил да проверя дали рибите не са групирани на едно не толкова популярно и масово място - на понтоните пред гребната база.
Търсих рибите на 15, 25, 35 и 55 м. Съответно нямах нито едно кълване.
Така и така бях забъркал някаква мега добра захранка и за да не отиде зян реших да се преместя на моста на бъбрека. Пачаревската школа ловеше на плувка дребен уклей, дребни бабушки и дребни платички. Разцъках и аз известно количество рибки там. Интересно е, че малки пасажи с още по-малки рибки стоят точно под моста. Пробвах различни монтажи и подходи, но излизаха само супер дребни рибки. Масовата бабушка беше 5 см, а масовата платичка - 7 см.
Търсих рибите на 15, 25, 35 и 55 м. Съответно нямах нито едно кълване.
Така и така бях забъркал някаква мега добра захранка и за да не отиде зян реших да се преместя на моста на бъбрека. Пачаревската школа ловеше на плувка дребен уклей, дребни бабушки и дребни платички. Разцъках и аз известно количество рибки там. Интересно е, че малки пасажи с още по-малки рибки стоят точно под моста. Пробвах различни монтажи и подходи, но излизаха само супер дребни рибки. Масовата бабушка беше 5 см, а масовата платичка - 7 см.
- Garbolino
- разбира нещата

- Мнения: 817
- Регистриран на: Съб Ное 12, 2011 12:24 pm
- Местоположение: София
Re: Няколко поредни излета на Пънча с цел намиране на добре работеща захранка
Какво е това време?! Първа пролет?! Не знам как ще дочакаме идните 10 дни докато се позатопли отново.
То докато затоли до края на месеца, две седмици след това идва забраната за пролетно-лятно размножаващите се риби (от 15 април до 31 май за водните обекти, намиращи се до 500 м надморска височина).
То докато затоли до края на месеца, две седмици след това идва забраната за пролетно-лятно размножаващите се риби (от 15 април до 31 май за водните обекти, намиращи се до 500 м надморска височина).
- s0n3x
- научил се да хвърля

- Мнения: 129
- Регистриран на: Чет Юли 09, 2009 3:17 pm
- Местоположение: София
Re: Няколко поредни излета на Пънча с цел намиране на добре работеща захранка
Ще ги мъчим тия платики на Пънча края на тази, през другата седмица пък и през забраната.Garbolino написа:идва забраната за пролетно-лятно размножаващите се риби (от 15 април до 31 май за водните обекти, намиращи се до 500 м надморска височина).
Имам една забравена захранка от последния излет на платеното, която леко се е вмирисала (оставям я да отлежи
- Garbolino
- разбира нещата

- Мнения: 817
- Регистриран на: Съб Ное 12, 2011 12:24 pm
- Местоположение: София
Re: Няколко поредни излета на Пънча с цел намиране на добре работеща захранка
След месец в горната част на Пънча тази година може и да има риболов. Гледам няма много водорасли. Може и да може да се лови.
- s0n3x
- научил се да хвърля

- Мнения: 129
- Регистриран на: Чет Юли 09, 2009 3:17 pm
- Местоположение: София
Re: Няколко поредни излета на Пънча с цел намиране на добре работеща захранка
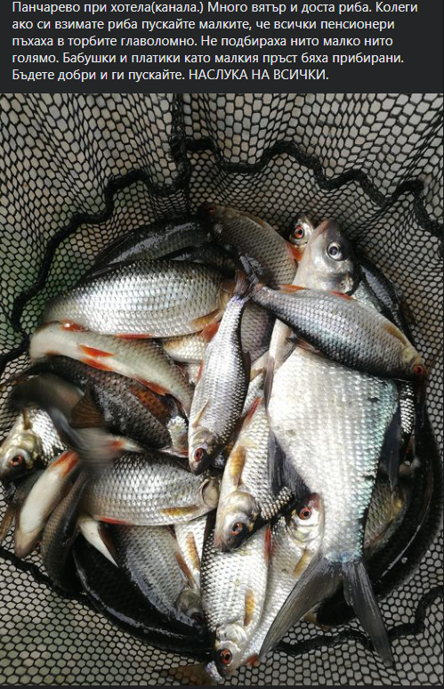
Гледам, че колегите вече вадят някакви риби, но изглежда че на стената все още е слабо:
"на стената бяха едни приятели 2 баби за цял ден на плувка. И на фидер става. На малкия полуостров (преди канала където са накацали пенсионерите на главния път в ляво) един колега хвана няколко, но беше новобранец и не прехвърляше редовно. Хвана и 2-3 по-добри"
"на стената бяха едни приятели 2 баби за цял ден на плувка. И на фидер става. На малкия полуостров (преди канала където са накацали пенсионерите на главния път в ляво) един колега хвана няколко, но беше новобранец и не прехвърляше редовно. Хвана и 2-3 по-добри"
Re: Няколко поредни излета на Пънча с цел намиране на добре работеща захранка
Аз съм приятеля с двете баби хахаха. От 14ч със скобарския такъм и храна за силно течение толкова от мен. След като се чух за последно с него имаше още 2-3 риби, но нищо интересно, просто е малко рано за стената, но не ми се прибираше разочарован от калната и висока Струма. Съжалявам, че не съм по-изчерпателен, но за втори път ми се случва да ми блокира текста и ''романа'' ми отива на кино. Ако някой го интересува нещо по-подробно ще кажа.
- Garbolino
- разбира нещата

- Мнения: 817
- Регистриран на: Съб Ное 12, 2011 12:24 pm
- Местоположение: София
Re: Няколко поредни излета на Пънча с цел намиране на добре работеща захранка
Днес набързо сутринта минах да проверя как е риболова. Пробвах вдясно от бъбрека на 20, 25 и 30м дистанция. За един час хванах една бабушка 5 см и... се отказах. Мисля сряда да проверя как ще е положението на стената, защото нивото беше високо - почти до традиционното ниво, където местата по брега са кът.
Re: Няколко поредни излета на Пънча с цел намиране на добре работеща захранка
Здравейте! Сега ми остана време да напиша няколко реда ... единственото място, на което има някакъв риболов е от дясно на моста непосредствено до него. Колкото по надясно си от моста, толкова риболова е по слаб. В събота и недея бях на езерото. Риболова беше на много къса дистанция 10-12 метра. На вътре както и колегата е написал е трагедия. Рибата се влияе до някъде от храната. Вероятно тази събота и неделя нещата, ще са различни и ще има риболов навсякъде и на малко по-приемлива дистанция. Относно размера на рибите между 5 и 12 см. Сутрин рибите са горе и се ловят успешно на плувка. Някъде около 9-10 слизат долу и се получава някакъв риболов на фидер. Рибите са толкова дребни, че за да имаш реализирани кълванета трябва да нанижеш по едра пинка на кука 18-20 ... С бял има повече фитки, като рибите са същия размер.
- Garbolino
- разбира нещата

- Мнения: 817
- Регистриран на: Съб Ное 12, 2011 12:24 pm
- Местоположение: София
Re: Няколко поредни излета на Пънча с цел намиране на добре работеща захранка
Днес в 11:00 стартирах на стената на Пънча. Започнах на 50м дистанция и до 12:00 нямах кълване. Дойде ми на ъкъла да мина на максимално близка дистанция (около 30-35м) и за моя изненада имах съвсем леко почукване, нещо като кълване, ама не съвсем. Презаметнах и след 5 мин - пак същото. Минах от кука 16 на 18 и взех, че хванах една малка платичка. Имах след това две хубави вземания и хванах още две платички. Тъкмо се зарадвах, че става риболов и влязох в някаква серия от едни странни единични почуквания. Съвсем лека индикация и после нищо. Поизнервих се и взех да ги засичам на момента, но за съжаление без ефект. След 6-7 такива никакви кълванета съвсем се изнервих и демонстративно сгънах багажа и си тръгнах. Ама-ха няма да и се моля на тая риба я! Така за 3 часа имах 3 риби от общо десетина подобия на кълване.
-
borislav bonev
- новобранец

- Мнения: 74
- Регистриран на: Пет Авг 19, 2016 10:28 am
Re: Няколко поредни излета на Пънча с цел намиране на добре работеща захранка
Днес в дясно от моста имаше риболов, платички по педя. Рибите се събираха на захранката някой взимаха добре, а други едва едва.
Re: Няколко поредни излета на Пънча с цел намиране на добре работеща захранка
Днес бях от дясно на моста. За около 4 часа имам 20 рибки. Риболова е крив или аз не се ориентирах в ситуацията. Храната ми беше черна, инертна, средно фракционна.


