21

дек

2022

Извършена проверка на езеро Шабла

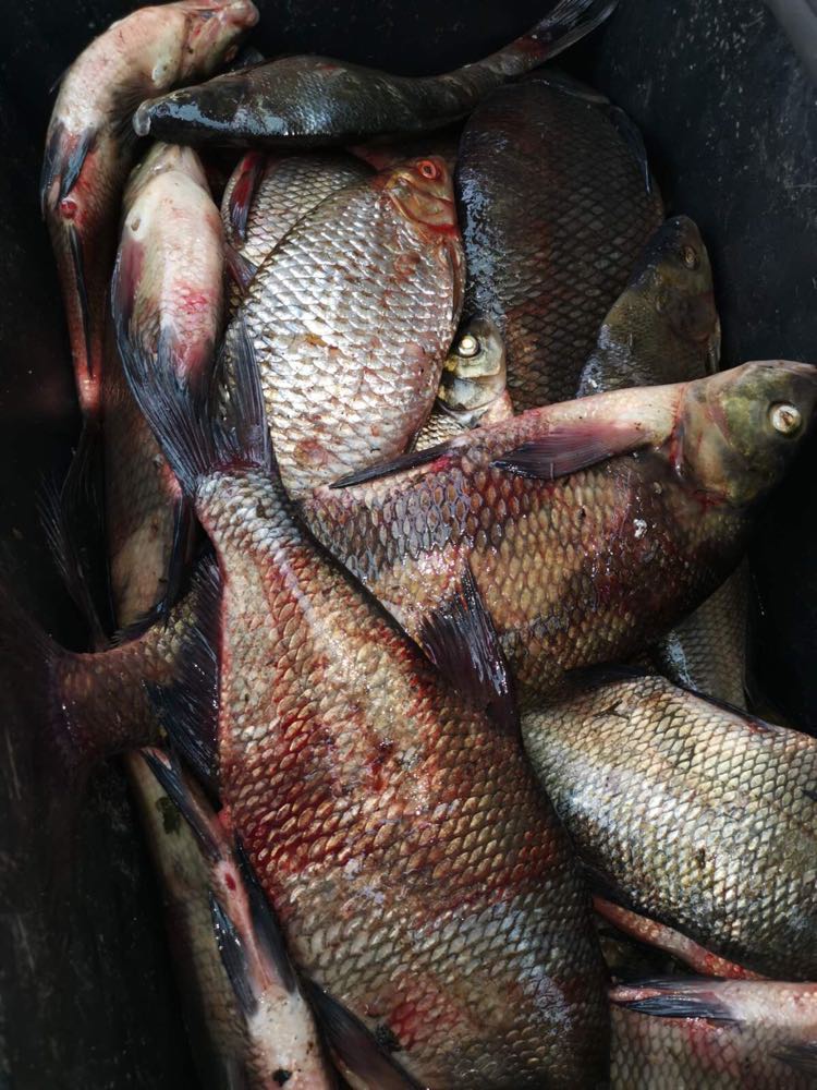
Служители от сектор „РК-Добрич“ извършиха планирана проверка на езеро „Шабла“ с патрулна лодка на ИАРА. По време на проверката са установени и извадени от работно положение 300 м хрилни мрежи. Уловената в тях риба 26 кг от вида платика е освободена и върната незабавно във водата.


Източник: ИАРА

Снимки:
  
Оцени публикацията:

Рейтинг nan от 0 гласували
Сподели публикацията:



Коментари:
Добави коментар:

ПОСЛЕДНИТЕ НОВИНИ
РЕКЛАМА
СЛЕДВАЙ НИ ВЪВ ФЕЙСБУК
СЛЕДВАЙ НИ В GOOGLE